Super Typhoon Nepartak: Birth and Track of a Monster Storm | The Weather Channel
Advertisement
Advertisement

Super Typhoon Nepartak: Birth and Track of a Monster Storm

Play

Threats From Ernesto Impacting US Coastal Areas

From an innocuous area of low pressure in the western Pacific during the last week of June, the storm that would be named Nepartak rapidly blossomed into a super typhoon in short order. Atmospheric conditions were just right over a significant period of time, and after missing several islands, Nepartak eventually took dead aim on Taiwan.

Nepartak began as a weak area of low pressure south of the Mariana Islands in the western Pacific during the last week of June. On July 2 (U.S. time), it became a tropical depression with maximum sustained winds of about 30 mph. This occurred at a location near 9 degrees north latitude and 140 degrees east longitude.

Nepartak drifted slowly to the north, then to the north-northwest, and was named a tropical storm with maximum sustained winds around 40 mph on July 3. By the afternoon of July 4, Nepartak was a strong tropical storm, and as it began to rapidly intensify, Nepartak became a typhoon that evening.

(MORE: The Latest on Typhoon Nepartak)

Storm History of Nepartak from a Tropical Depression (June 2, 2016) to a Super Typhoon Approaching Taiwan (June 7, 2016)
Storm history of Nepartak from a tropical depression (July 2) to a super typhoon, approaching Taiwan (July 7).
(Weather Underground)

The intensification of this storm was quite remarkable. In a 24-hour period starting the afternoon of July 4, Nepartak strengthened from a strong tropical storm with maximum sustained winds of 70 mph to a super typhoon with maximum sustained winds of a whopping 150 mph.

Advertisement

It also became apparent that Nepartak was setting its sights on Taiwan.

The maximum sustained winds of Nepartak peaked at 175 mph - Category 5 intensity - on the morning of July 6. As Nepartak passed over a buoy southeast of Taiwan, an extremely low atmospheric pressure of 897 millibars was recorded.

(MORE: Satellite Images Show the Fierce Power of Super Typhoon Nepartak)

Since Nepartak took dead aim on Taiwan, residents have been constantly updated on the latest conditions, evacuation plans and the threat of flooding. By the late morning of July 7, Nepartak remained a Category 5 storm with maximum sustained winds of 160 mph.

Nepartak made landfall along the southeast coast of Taiwan by the evening of July 7, just south of Taitung,  as a Category 4 storm.

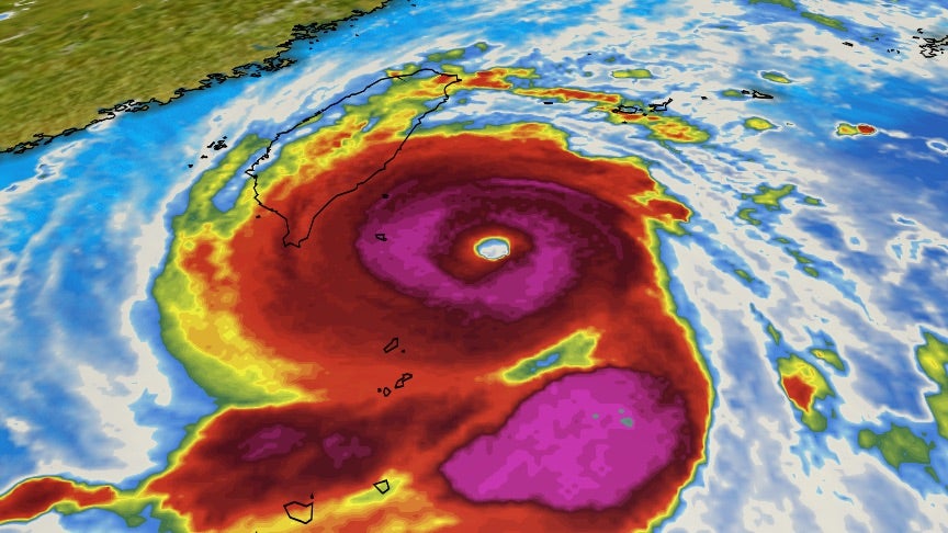
IR Satellite Image Of Super Typhoon Nepartak As it Approached Taiwan on July 7, 2016
IR satellite image of Super Typhoon Nepartak as it approached Taiwan on July 7, 2016.
(NASA)

Setup For a 'Monster' Typhoon

The set of circumstances that allowed Nepartak to explode from a tropical storm to a super typhoon in a span of only 24 hours was almost perfect.

  • Nepartak was able to feed off the heat of extremely warm ocean temperatures (86 to 88 degrees) along its journey.
  • There have been no other tropical cyclones to travel along a similar path in months, which would have churned up the ocean and possibly reduced the water temperature.
  • Wind shear in the atmosphere, which can sometimes hinder development or rip tropical cyclones apart, has been virtually non-existent for Nepartak.
  • There was no dry air, which can severely inhibit tropical cyclone development, within hundreds of miles of Napartek.
Advertisement