Images Show the Fierce Power of Hurricane Michael | Weather.com
Search
Advertisement

Latest Hurricane News

Weather imagery is presenting some incredible views of Hurricane Michael.

ByChris Dolce
October 10, 2018Updated: October 10, 2018, 10:48 am EDTPublished: October 10, 2018, 10:48 am EDT

Watches Issued In Caribbean For Future Ernesto

Weather imagery is giving meteorologists a jaw-dropping view of Hurricane Michael's fierce power.

(MICHAEL COVERAGE: Hurricane Central)

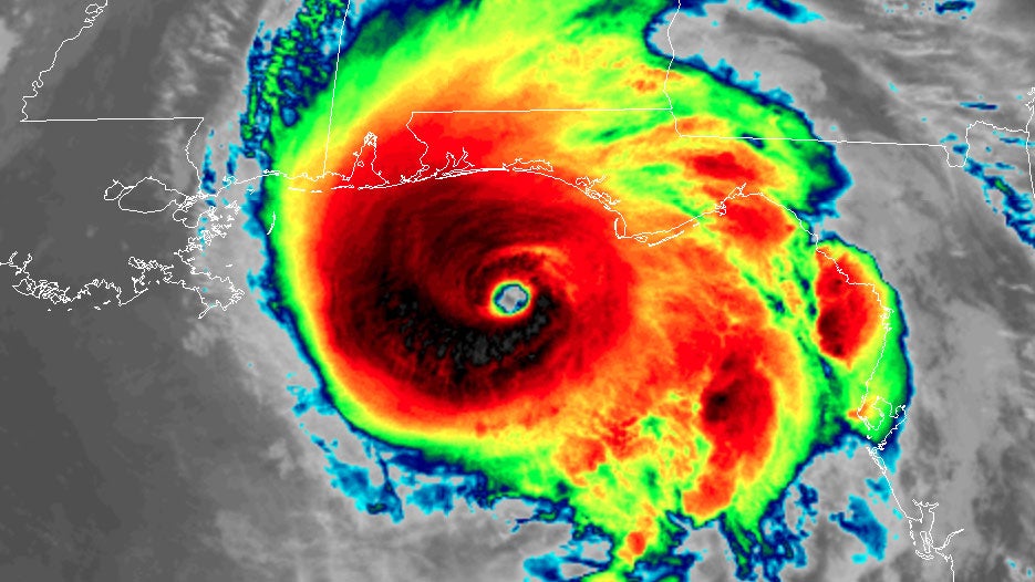
This first satellite image is Michael Wednesday morning when it had maximum sustained winds of 145 mph. Darker colors in this infrared image indicate colder (and higher) cloud tops.

Weather in your inbox
By signing up you agree to the Terms & Privacy Policy. Unsubscribe at any time.

(RAMMB/CIRA)

Click the play button below for an animated version of the infrared satellite imagery Wednesday morning.

Michael rapidly intensified from a tropical depression with 35 mph winds on Sunday to strong Category 4 hurricane with maximum sustained winds of 145 mph by Wednesday morning. This animation below shows how the hurricane intensified as it tracked from the northwest Caribbean into the Gulf of Mexico.

Advertisement

Next is a visible satellite view of Michael Wednesday morning just after sunrise. Visible satellite imagery shows how the hurricane would look if you were in space viewing it with your naked eye.

(RAMMB/CIRA)

Click the play button below for an animated version of visible satellite imagery around Michael's eye.

Michael's eyewall was easy to spot on radar imagery Wednesday morning. The yellow and orange ring around the eye in the center contains the most destructive winds up to 145 mph.

This image is a computer model simulation of Michael's wind field as it approached the Gulf Coast. Darker shadings depict the strongest winds. On Wednesday morning hurricane-force winds extended up to 45 miles from the center of circulation. Tropical-storm-force winds were up to 185 miles from the center.

Michael's satellite appearance dominates this wider view of the Atlantic basin, but it's not alone. Hurricane Leslie and Tropical Storm Nadine were also spinning in the open Atlantic waters early Wednesday.

(RAMMB/CIRA)

Loading comments...

Advertisement