Hurricane Season Hasn't Been Truly Quiet In 10 Years | Weather.com
Search
Go ad-free with Premium.Start free trial

Latest Hurricane News

Hurricane seasons have been packed full of storms more times than not in recent years, but quieter seasons do happen. El Niño was a factor in the last inactive one 10 years ago, but that hurricane-squashing ingredient isn't likely to be in play this year.

Jonathan ErdmanChris Dolce
ByJonathan ErdmanandChris DolceMay 8, 2025

When Was The Last Quiet Hurricane Season?

Busy, high-impact hurricane seasons have been a common occurrence in recent years and the predictions for 2025 expect that theme to continue. But quieter seasons occur with the last one happening 10 years ago because of a hurricane foe called El Niño.

(MORE: El Niño Unlikely This Year. Hurricane Season Expected To Be Active)

Big Picture

-What's Average? Over the 30 years from 1991 through 2020, an average of 14 storms formed each season, seven of which became hurricanes and three of which became at least Category 3 wind intensity. About one to two of those hurricanes usually make landfall in the U.S., according to statistics compiled by NOAA.

Weather in your inbox
By signing up you agree to the Terms & Privacy Policy. Unsubscribe at any time.

-Recent Years: We understand if it seems like every hurricane season lately has been busy, active, destructive, awful or whatever adjective you'd like to use. After all, three of the last five hurricane seasons have generated at least 20 storms. The least active season in these five years was 2022, but it was right on par with average, producing 14 storms, eight of which became hurricanes, including Ian's devastating Category 4 landfall in Florida.

Last year, the Atlantic produced 18 named storms, five of which made landfall as hurricanes in the U.S., including major strikes from Helene and Milton.

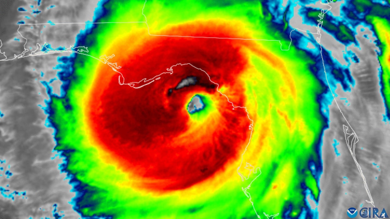
helenesatellitecira.jpg

Hurricane Helene on satellite just prior to making landfall in Florida's Big Bend on Sept. 27, 2024. It would then go on to produce devastating high winds and flooding rainfall from eastern Georgia to the southern Appalachians.

(CIRA/RAMMB)

Deeper Dive

-2015 Was Last Truly Quiet Season: Just 11 storms formed that year, four of which became hurricanes, and only two strengthened to Category 3 or stronger. That was also the last year we didn't have a single U.S. hurricane landfall.

-El Niño Played A Major Role: One of the strongest El Niños on record helped squelch activity in 2015. This periodic warming of the equatorial eastern Pacific Ocean tends to produce stronger wind shear and sinking air over the Caribbean Sea and adjacent areas of the Atlantic Basin. Those suppressing factors can weaken or rip apart a tropical cyclone. The increased wind shear in 2015 contributed to the demise of five storms in the heart of that season.

Unfortunately, we don't expect El Niño to be a strong hurricane-suppressing factor in 2025.

-Part Of A Three-Year Quiet Stretch In 2014, six hurricanes formed, but only eight total storms developed that entire season. That was the least in any year since 1997.

The 2013 season was even more strange. Fourteen storms that year were exactly average. But, only two managed to become hurricanes, tied for the fewest in any hurricane season in the satellite era (since the mid-1960s).

El Niño wasn't a player in tamping down activity in 2014 and 2013. The culprit for those less active seasons was a combination of increased wind shear and/or dry, stable air that seemed to dominate the Atlantic.

el_nino_hurricane.jpg

El Niño's warm water in the Pacific causes air to rise. That contributes to increased upper-level winds in the Caribbean and the Atlantic. This is known as wind shear and it's hostile to tropical development, as we saw in 2015.

More To Know

-Other Inactive Seasons Recently: Some other quiet seasons this century included 2009 (nine storms, three hurricanes during a weak to moderate El Niño) and 2006 (only 10 storms the year following the record 2005 season).

During the cool phase of a 20- to 40-year oscillation of North Atlantic Ocean sea-surface temperatures known as the Atlantic Multidecadal Oscillation, less active hurricane seasons were common in the 1980s and early 1990s. Eight of the 15 hurricane seasons from 1980 through 1994 produced less than 10 storms.

-Quiet Seasons Can Still Be A Danger: Immediately following another strong El Niño, only four named storms formed in 1983, the least in any season in the satellite era. However, one was Category 3 Hurricane Alicia, which ransacked the Houston metro area with destructive winds and storm surge flooding.

1992 was a similar story with only seven storms, but one of those was Hurricane Andrew's Category 5 strike on South Florida.

The three "quiet" years in the 2010s still managed to produce three storms that were deadly and/or destructive enough to be retired from future use in name lists: Hurricane Ingrid (2013), Tropical Storm Erika (2015) and Hurricane Joaquin (2015).

It only takes one landfall to have a damaging impact, whether it's the nation's only landfall or one of many in a given hurricane season. Whether an active or quiet season is forecast, you should be prepared every year.

1983-atl-tracks.jpg

Hurricane Alicia was one of only four named storms in the 1983 hurricane season.

Jonathan Erdman is a senior meteorologist at weather.com and has been covering national and international weather since 1996. His lifelong love of meteorology began with a close encounter with a tornado as a child in Wisconsin. Extreme and bizarre weather are his favorite topics. Reach out to him on X (formerly Twitter), Threads, Facebook and Bluesky.

Loading comments...