Hurricane Season In July: Where Do Storms Usually Form? | Weather.com
Search
Advertisement

Latest Hurricane News

July is still early in the hurricane season, so historically it's a quieter month, but as Hurricane Beryl showed in 2024 it can still be highly impactful.

Chris Dolce
ByChris Dolce
June 27, 2025Updated: June 27, 2025, 10:05 am EDTPublished: June 27, 2025, 10:05 am EDT

Areas More Likely To See Tropical Activity In July

Hurricane season's first month has lived up to its reputation as being slow to start, with only short-lived Andrea forming. July has often followed that same sleepy script, but as we saw last year, the month can sometimes pack a U.S. hurricane threat.

Big Picture

  • Hurricane Season's Slow Ramp-Up Usually Continues: July has accounted for 7% of the Atlantic's tropical storms since 1851. That pales in comparison to the percentage of named storms that have formed in the busiest months of hurricane season: August (22%), September (35%) and October (21%), according to NOAA's Hurricane Research Division. Put another way, about one named storm has formed in July each year, on average.
  • Typical Formation Area Creeps Eastward: Similar to June, the Gulf and the western Atlantic waters near the East Coast are areas where tropical storm formation has historically been more common in the season's second month. However, the area favored for storm formation also expands eastward, farther away from the U.S., into parts of the Atlantic waters near and east of the Lesser Antilles, as well as into the eastern Caribbean.
trop_origins_july.jpg

This map shows the most favored area for named storms to form in July in yellow and orange.

(Data: National Hurricane Center)

Deeper Dive

  • Why Storms Begin To Form Farther East: Disturbances called tropical waves, which are one of five seeds for tropical storm development, become a bit better defined in July. They regularly move westward from Africa across the Atlantic toward the Caribbean and Gulf throughout hurricane season Still, only about one in five of them becomes an Atlantic basin tropical depression, storm or hurricane.
  • Conditions in the atmosphere and ocean allow them to have a better shot at development beginning in July, but the August to October peak is still much more conducive.
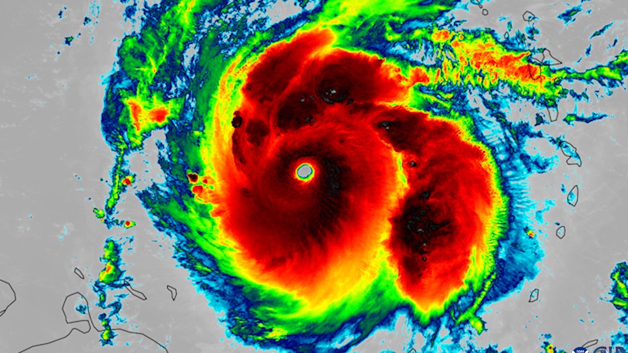
  • Beryl Was An Extreme Outlier Last July: Beryl formed in June, but it hit Category 5 intensity while in the Caribbean on the month's first day in 2024, making it the earliest on record any Atlantic storm has reached that rare top-end intensity by more than two weeks. The hurricane-ravaged parts of the Windward Islands as a strong Category 4 just before that happened.
  • The U.S. Was Heavily Impacted By Beryl: The hurricane made landfall on the Texas coast as an intensifying Category 1 on July 5, contributing to serious wind damage in southeast Texas, including Houston. Many trees were downed and millions had power knocked out. Beryl produced 65 tornadoes in the U.S., which ranks fifth-most of any tropical cyclone on record. Damage was estimated to be $7.2 billion and 46 deaths were blamed on the hurricane and its remnants from Texas to New England.
berylcat5.jpg

Hurricane Beryl as a Category 5 on July 2, 2024.

(CIRA/RAMMB)

More To Know

  • July's Record For Named Storms Was Recently Tied: The hyperactive 2020 hurricane season had five storms form in July: Edouard, Fay, Gonzalo, Hanna and Isaias. That tied 2005 for the most storms in the month since 1950. Hanna made landfall in Texas and Isaias would later go on to rake the East Coast in early August. On the opposite side of the spectrum, no named storms roamed the Atlantic waters at any point in July as recently as 2016.
  • The Next Storm Names We'll See: Barry, Chantal and Dexter are next on the list of 21 names. Dexter is a new name on this year's list, replacing Dorian from 2019 which was retired after the destruction it caused in the Bahamas.
2025-atlantic-tropical-names.jpg

2025 Atlantic Hurricane Season Names

Chris Dolce has been a senior digital meteorologist with weather.com for 15 years after beginning his career with The Weather Channel in the early 2000s.

Loading comments...

Advertisement