Tropical Cyclone Hellen: Worst Case Scenario Avoided in Madagascar | The Weather Channel
Search
Go ad-free with Premium.Start free trial

Latest Hurricane News

A powerful tropical cyclone weakened just before landfall, sparing Madagascar from a catastrophic storm surge.

ByNick Wiltgen and Jonathan ErdmanMarch 31, 2014



Fears of a "worst case scenario" were narrowly avoided in Madagascar as Tropical Cyclone Hellen made landfall Monday, having weakened rapidly just before landfall after undergoing a period of equally rapid intensification over the weekend.

Weather in your inbox
By signing up you agree to the Terms & Privacy Policy. Unsubscribe at any time.


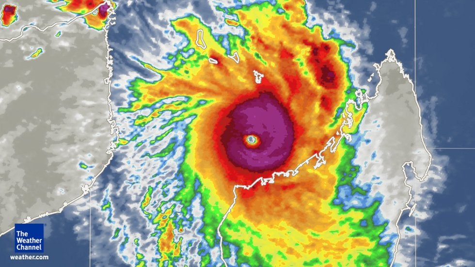
Infrared satellite image of Hellen over the Mozambique Channel between Mozambique (left) and Madagascar (lower right) near its peak intensity Sunday, March 30, 2014.


Hellen intensified at an extraordinary rate over the Mozambique Channel as it drifted south-southeast over the weekend toward the northwestern coast of Madagascar, an island nation in the southwestern Indian Ocean off the east coast of Africa.

According to a bulletin issued by the Regional Specialized Meteorological Centre (RSMC) at La Reunion at 1845 GMT Sunday (2:45 p.m. EDT in the U.S.), Tropical Cyclone Hellen was packing 10-minute average winds as high as 145 miles per hour – the equivalent of about 150 miles per hour, or a Category 4 hurricane, using the U.S. standard 1-minute average wind.

At the time, the cyclone's central pressure was estimated at 925 millibars, marking a dizzying drop of 61 millibars from 24 hours earlier. The maximum sustained wind speed increased from 65 mph to 145 mph in the same time period.

Generally, stronger central pressures correspond to stronger winds in tropical cyclones (including hurricanes and typhoons). The National Hurricane Center defines "rapid intensification" as occurring when the maximum sustained winds in a tropical cyclone increase by at least 30 knots, or about 35 miles per hour, in a 24-hour period.

The extreme intensification, combined with the path of the storm and the fact that winds blow clockwise around Southern Hemisphere tropical cyclones, raised fears of a deadly storm surge for coastal towns along the country's northwestern coastline.

Bulletins from RSMC La Reunion Sunday afternoon and evening warned that the town of Soalala (population 15,000), on the Bay of Baly, was at risk of a storm surge as high as 7 meters (23 feet). Farther east, the city and regional capital of Mahajanga (population 130,000) was warned of a 2- to 4-meter (6- to 13-foot) storm surge.

"All preparations for a 'worst case' scenario should be underway," the agency's bulletins warned late Sunday.

Sudden Weakening

Fortunately for coastal residents, Hellen weakened as quickly as it strengthened.

By 0600 GMT (2 a.m. EDT) Monday, Hellen's pressure had risen back to 975 millibars and its 10-minute average winds had fallen to 80 mph, according to the centre's bulletin. The cyclone's forward movement had come to a virtual halt, the agency said, as its rainbands and strong winds pushed into northwest Madagascar.

In just 12 hours, the cyclone's estimated central pressure had risen a staggering 50 millibars, in essence, reversing most of the rapid intensification occurring earlier Sunday.

The reasons for this rapid weakening were not clear, according to the RSMC, except for a strengthening north to northeast winds aloft which may have provided increased wind shear to rip apart the circulation.

By 1200 GMT (8 a.m. EDT) Monday, Hellen had moved inland and weakened further with maximum winds of 50 mph and a central pressure of 990 millibars.

Impact

Hellen's landfall brought blustery conditions and heavy rain to northwest Madagascar, primarily in the administrative regions of Boeny and Melaky. The two regions had a combined population of just over 700,000 in 2004. Melaky is the least densely populated region in all of Madagascar.

In Mahajanga, the capital of Boeny and Madagascar's second-busiest seaport, observations indicated 156 mm (6.14 inches) of rain in the 42-hour period ending 1200 GMT (8 a.m. EDT) Monday. Wind gusts at the city's Amborovy Airport peaked at 46 mph at 0500 GMT (1 a.m. EDT) Monday.

While there are no readily available measurements of storm surge in the region, photos from the scene indicated that even the much-weakened storm had caused some damage to vulnerable structures on the immediate coastline in Mahajanga.



Forecasters at La Reunion said Hellen is forecast to continue a right turn, taking it westward across the Mozambique Channel toward the mainland African nation of Mozambique without much restrengthening. The agency's Monday morning bulletin suggested Hellen could even dissipate over Madagascar without making it back over water.

Tropical Cyclones in the Southwest Indian Ocean

The primary season for tropical cyclones in the Southwest Indian Ocean basin runs from November through April.

Madagascar's deadliest and most destructive tropical cyclone in modern times, Gafilo, made landfall on March 7, 2004, in northeast Madagascar with maximum sustained winds near 160 mph. It tore a path westward across northern Madagascar, then recurved over the Mozambique Channel and meandered east across southern Madagascar March 9-12. At least 237 people died in Madagascar.

Gafilo was also the strongest tropical cyclone on record in the Southwest Indian Ocean basin, bottoming out at a minimum central pressure of 895 millibars.

Stay with The Weather Channel and weather.com for updates on Tropical Cyclone Hellen and its impact on Madagascar.

MORE ON WEATHER.COM: Super Typhoon Haiyan in the Philippines, November 2013


Slideshow

1/498

A Filipino man walks in a puddle of water at a neighborhood ravaged by Typhoon Haiyan in Tacloban, Philippines, Wednesday, Nov. 20, 2013. (AP Photo/Dita Alangkara)


Loading comments...