2012 Hurricane Season Filled with Oddities | The Weather Channel
Search
Go ad-free with Premium.Start free trial

Latest Hurricane News

The 2012 Atlantic hurricane season has been a busy one filled with plenty oddities. We take a look back at some of these.

ByChris Dolce and Jon ErdmanDecember 8, 2012

Nineteen Named Storms

With a total of 19 named storms, the 2012 Atlantic hurricane season was very active. This is only the seventh hurricane season in the last 162 years that we've had 19 or more named storms.

In addition to being active, we've seen many oddities along the way. Let's step through these oddities beginning with the 2012 "preseason" storms.


Beryl's track (white line) and estimated rainfall amounts.

Two Storms Before Season Starts

It's unusual to get one named storm before the official June 1 start of the hurricane season. In 2012, we saw two storms form in May. Only two other years have seen two named storms before the "official start" of the Atlantic season (1908 and 1887).  

Weather in your inbox
By signing up you agree to the Terms & Privacy Policy. Unsubscribe at any time.

Tropical Storm Alberto spun up off the Southeast U.S. coast on May 19. Alberto was the earliest-forming Atlantic tropical storm since Ana in April 2003.

In a bit of deja vu, Subtropical, then Tropical Storm Beryl, formed in roughly the same area that Alberto fizzled, namely, off the Carolinas. However, unlike Alberto, Beryl made a U.S. landfall near Jacksonville Beach on May 28.  

With maximum sustained winds of 70 mph, Beryl was the strongest tropical cyclone to make a pre-June 1 U.S. landfall on record.

Beryl brought an otherwise unexpected drought dent for some in the Southeast, and even swamped some previously parched areas of north Florida with flooding rain.

The strange start to the season continued with an odd location for the first Atlantic hurricane.


First Hurricane in an Unusual Spot

Where would you expect the season's first Atlantic hurricane?  Caribbean?  Gulf of Mexico?  Eastern Atlantic?  All good guesses...but all incorrect in 2012.

Hurricane Chris became 2012's first Atlantic hurricane on June 21 in the open waters of the North Atlantic at a latitude of 41 degrees north, farther north than New York City!  Only a single 1893 hurricane was farther north as a hurricane in June than Chris.  Only twice before in history (1959 and 1887) has the third named storm of the season formed earlier than Chris.

Not to mention the average date by which we've seen the first Atlantic hurricane is August 10.

As many residents of Florida can tell you, the month of June did not end quietly.


Fourth Atlantic Storm....in June!

Debby was christened as a tropical storm on June 23. Tropical storms in the Gulf of Mexico aren't unusual for June. So what's the big deal?

Well...it was the record earliest date for the Atlantic season's fourth named storm, besting the previous record held by 2005's Dennis (July 5).  On average, the fourth named Atlantic storm occurs by August 23, so this took place two full months ahead of that pace!

Though only a tropical storm, Debby was a reminder that it doesn't take a hurricane to cause major problems. The storm spawned numerous tornadoes and caused significant flooding in the Sunshine State.

Would the fast start to the season carry over into July?


The bar graph above shows that no named storms formed in July.

July Goes Quiet

After seeing four named storms by the end of June, things went quiet in July. We did not see a single tropical depression or named storm during the entire month in the Atlantic basin.

Of course, this is not something too atypical for July. Historically, the month has only accounted for about eight percent of the named storms over the course of an entire season. That's around one named storm each year in July since 1950.

Right as the calendar flipped to August, the season cranked up again.


Origin points of the eight named storms that formed in August 2012.

August Ties a Record

Right as the calendar flipped to August, the Atlantic came back to life with the formation of Tropical Depression Five on the first day of the month. The depression became Tropical Storm Ernesto the very next day.

Ernesto was the first of eight named storms in August 2012. This tied August 2004 for the most named storms to form in the month of August.

Florence, Gordon, Helene, Isaac, Joyce, Kirk and Leslie were the other named storms that formed in August 2012.

Some of these storms rivaled other past active seasons for their earlier than usual arrival.


Leslie and Michael spin side-by-side in the Atlantic prior to becoming hurricanes.

(CREDIT: NASA)

Early-Forming Named Storms in the Peak of the Season

Some of the named storms that formed from late August into early September rivaled other past very active years (1995 and 2005) for how early they formed in the season.

Tropical Storm Joyce developed on August 23 and tied Jerry from 1995 as the second-earliest forming tenth named storm on record. Only 2005 saw the tenth named storm form earlier (Jose).

Leslie's formation on August 30 was the second-earliest formation date of the twelfth named storm on record. This was only beaten out by Luis in 1995.

This trend trickled into early September when Michael formed in the open Atlantic Ocean on the fourth day of the month. Only 2005 and 2011 had the thirteenth named storm form earlier than September 4. When Michael reached hurricane status on September 5, it was the third earliest seventh hurricane on record, only behind 1886 and 1893.

The large number of storms through early September caused the first major hurricane to form deeper in the alphabetical named storm list than we've ever seen before.


Satellite image of Michael as a major hurricane.

(CREDIT: NASA)

First Major Hurricane Arrives after "I" Storm

On average, the first major hurricane of the season develops around September 4, so Michael's intensification into a major hurricane on September 6 was right on time. A major hurricane is a Category 3 or higher on the Saffir-Simpson Hurricane Wind Scale.

So, what's the big deal?

According to weather.com Meteorologist Nick Wiltgen, we had so many named storms (13 total) by early September that the first major hurricane of the season occurred after the "I" storm for the first time since authorities began naming tropical storms and hurricanes in 1950.

There have been four Atlantic seasons since 1950 without a major hurricane at all – 1968, 1972, 1986, and 1994. But those years got no farther than "G" in the alphabet, as 1968 and 1994 had seven total named storms, and the other years had even fewer.

The bottom line is that since 1950, we've never made it through the first 11 named storms (A through K) in one season without a major hurricane.

Speaking of hurricanes, it's interesting to note that two of the strongest hurricanes this season have not been where you would typically expect to find them.


Satellite images of Gordon on three consecutive days in August.

(CREDIT: NASA)

Two of the Strongest Hurricanes in Central Atlantic

Two of the strongest hurricanes in 2012 were not in the Gulf, Caribbean or in the tropical Atlantic Ocean between Africa and the Leeward Islands. Instead, they were in the central, or subtropical, Atlantic Ocean.

It started with Gordon, which reached hurricane intensity at a latitude of 34 degrees north. Gordon peaked as a Category 2 hurricane with 110 mph winds and is one of only six hurricanes to be within 200 nautical miles of Gordon's position at that time (34.1 N, 36.4 W).

(MORE: Recap on Gordon)

The only major Category 3 hurricane of the season, Michael, was at its peak intensity at a similar latitude around 30 degrees north.

(MORE: Recap on Michael)

In late October, Hurricane Sandy finally ended this trend of 2012's strongest hurricanes being located in the subtropical Atlantic. Sandy's winds peaked at 110 mph (equal to Gordon) in the northern Caribbean just before making landfall in eastern Cuba.

Our next notable oddity is not known for its strength, but rather its longevity.


Nadine Sticks Around for Three Weeks

Nadine formed in the tropical Atlantic Ocean on September 11 and spent a total of just over three weeks, 21.75 days to be exact, as a named tropical or subtropical cyclone. This does not include its brief spell as a post-tropical cyclone from 11 p.m. on September 21 to 11 a.m. on September 23.

The 21.75 days mentioned above makes Nadine the fifth longest-lasting Atlantic tropical/subtropical cyclone on record, according to the historical "best-track" database.

(MORE: Little impact, but history-making)

Nadine's haphazard path affected The Azores not once, but twice, producing wind gusts over 50 mph in a few spots each time. Nadine strengthened to a hurricane three different times.

Our final and latest oddity of the season, Hurricane Sandy.


Hurricane Sandy

Sandy was an odd hurricane for a few reasons.

First, its tropical-storm force wind field was HUGE. For example, the 11 p.m. advisory on Oct. 28, 2012 showed that tropical storm-force sustained winds spanned a diameter of 932 statute miles from southwest to northeast across Sandy's center of circulation. This is roughly the driving distance from New York to Jacksonville.

(MORE: Sandy by the numbers | Daily diary)

Next, you would typically expect a tropical storm or hurricane moving northward from the Caribbean in late October to turn out to sea in response to the jet stream the farther north it travels. As we know, the atmospheric setup allowed Sandy to take a very unique left hook path into New Jersey after passing well off the Southeast coast.

(MORE: Triumph of the computer models)

Lastly, while not technically making landfall as a hurricane or tropical storm, Superstorm Sandy finally limped ashore near Atlantic City during the evening of Oct. 29, 2012, with a central pressure of 946 mb.  

This is an exceptional low pressure for a northeast storm. According to weather.com Meteorologist Nick Wiltgen, only 6 hurricanes with central pressures at or below 960 mb within 200 nautical miles of a Virginia Beach to Halifax, N.S. arc have made a U.S. landfall.

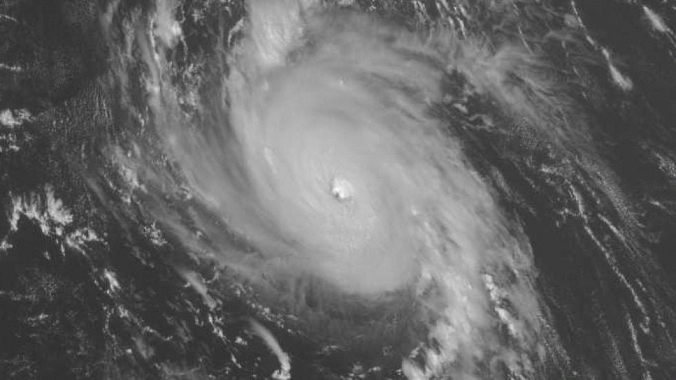
Despite a large number of named storms this season (19), major hurricanes (Category 3 or higher) have been scarce.


Above: Michael is the lone major hurricane of the 2012 season.

Above: Michael is the lone major hurricane of the 2012 season.

No Category 4 or 5 Hurricanes in 2012 and Only One Major

As we know from the impacts delivered by Isaac and Sandy this season, it doesn't take a major hurricane to cause major damage.

That said, we've only seen one hurricane, Michael, reach major hurricane status (Category 3 or higher) this season. If the season ends this way, it would be the least amount of major hurricanes in a season since 1997 when Erika was the lone major.

In addition, we've had no Category 4 or 5 hurricanes this season. This has only happened two other times (2006, 1997) in the current "active era" that began in 1995.

(MORE: U.S. major hurricane drought)

Loading comments...