10 Stunning Images of Super Typhoon Atsani and Typhoon Goni | The Weather Channel
Search
Go ad-free with Premium.Start free trial

Typhoon

There's another super typhoon in the western Pacific, and the imagery is spectacular.

ByChris DolceAugust 20, 2015



Super Typhoon Atsani intensified into the equivalent of a Category 5 hurricane with maximum sustained winds of 160 mph as of late Wednesday morning, EDT. Atsani is the sixth super typhoon this year in the western Pacific, and the latest to provide us with stunning imagery from satellites in space. Atsani has since weakened a bit as of Thursday morning, but remains a super typhoon.

Weather in your inbox
By signing up you agree to the Terms & Privacy Policy. Unsubscribe at any time.

(SUPER TYPHOON IMAGERY: Soudelor | Maysak)

In addition to Atsani, a strong Typhoon Goni is swirling in the western Pacific to the west of Atsani. Goni will impact parts of east Asia late this week into the weekend.

(FORECAST: Goni's Impacts)

The first in our series of images shows Super Typhoon Atsani (right) and Typhoon Goni (left) at the same time as viewed from the Japanese Meteorological Agency's new Himawari-8 satellite Wednesday.


(Japanese Meteorological Agency)


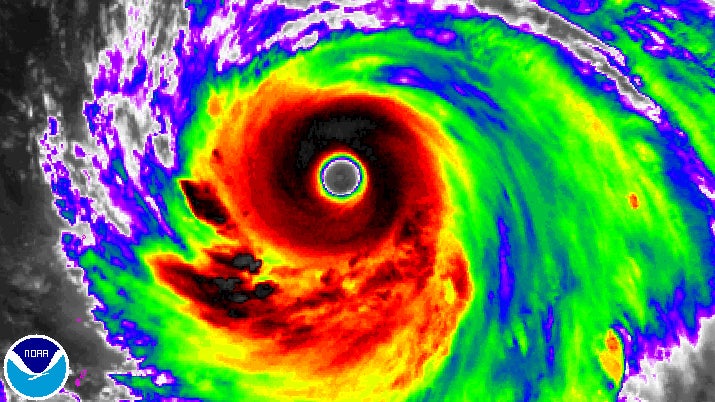
Here is another view of both Atsani and Goni using colorized infrared satellite imagery from Wednesday.


(NOAA)


The eye of Atsani as it reached Category 5 status Wednesday.


(CIMSS/University of Wisconsin-Madison)


Another view of Atsani near its peak intensity Wednesday.


(NOAA)


A close-up of Atsani's eye on visible satellite imagery Wednesday.


(NASA)


The Himawari-8 visible satellite captured this view Atsani's eye just before sunset Wednesday.


(CIRA/RAMMB)


This animation shows the last few images from the Himawari-8 satellite just before sunset Wednesday.



Shown in this image is the eyewall of Atsani when it was near peak intensity Wednesday. Although no earth-based radar sites were available at that time, microwave imagery from satellites can give you a good idea of what the eyewall looks like.


(NRL )


The tiny eye of Typhoon Goni (center of the image) when it was a Category 4 Monday.


(NASA)


Goni's eye grew much larger after Monday, as this satellite image from Wednesday shows.


(NASA)


MORE ON WEATHER.COM: Hurricanes From Space


Slideshow

1/69

Hurricane Igor is featured in this Sept. 14, 2010, image photographed by an Expedition 24 crew member on the International Space Station. (NASA)


Loading comments...